
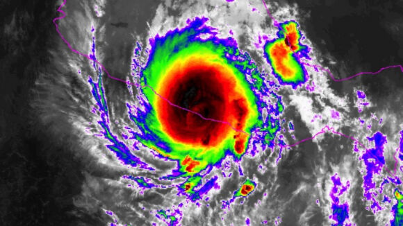
Bão Otis đổ bộ vào Acapulco, Mexico vào ngày 25 tháng 10 năm 2023.(Hình ảnh: Văn phòng Điều hành Sản phẩm và Vệ tinh của NOAA (OSPO) / CC0 1.0 )
Theo một báo cáo trên tờ Financial Times, bằng cách phân tích cách các hệ thống thời tiết phát triển và di chuyển trên toàn cầu trong quá khứ, hệ thống này được cho là có thể đưa ra dự báo chính xác trước tối đa 10 ngày.
Như nhà khí tượng học Matthew Chantry của ECMWF đã nói, những tiến bộ của AI trong dự báo thời tiết “nhanh hơn và ấn tượng hơn nhiều so với dự kiến” .
Báo cáo cho biết AI lấy trạng thái hiện tại của bầu khí quyển trên toàn thế giới làm đầu vào và sau đó đưa ra dự báo 10 ngày chỉ trong vài phút. Điều này hiệu quả hơn nhiều so với các mô hình vật lý phức tạp mà các nhà khí tượng học hiện đang dựa vào, có thể mất hàng giờ để chạy trên siêu máy tính.
Theo Financial Times, trong thử nghiệm rộng rãi, Graphcast vượt trội hơn hệ thống dự báo của ECMWF về 90% số liệu, bao gồm nhiệt độ, tốc độ gió và áp suất khí quyển. Nó cũng đánh bại các mô hình thời tiết AI của Huawei và Nvidia. Hệ thống đã dự đoán thành công vị trí đổ bộ của Bão Lee vào Nova Scotia trước 9 ngày, sớm hơn 3 ngày so với các phương pháp truyền thống.
Theo báo cáo, mặc dù Graphcast gặp khó khăn trong việc dự đoán cường độ cực kỳ nhanh như Bão Otis , nhưng các chuyên gia nhận thấy những cơ hội đầy hứa hẹn trong việc kết hợp phương pháp tiếp cận dựa trên dữ liệu với các mô hình dự báo thời tiết truyền thống.
Văn phòng Met của Vương quốc Anh có kế hoạch phát triển một hệ thống AI tương tự và kết hợp nó với các mô hình siêu máy tính dựa trên vật lý của mình.

Công cụ dự báo thời tiết AI Graphcast đã được đào tạo bằng cách sử dụng dữ liệu thời tiết lịch sử trong khoảng 40 năm từ Trung tâm Dự báo Thời tiết Trung bình Châu Âu (ECMWF).

